Melissa yıktı geçti: On binlerce turist mahsur
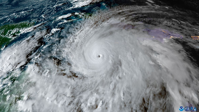
Atlantik’in son yıllardaki en güçlü kasırgalarından Melissa, Jamaika’yı vurarak ada genelinde büyük yıkıma yol açtı. Kasırga ardından Küba’ya ilerledi; yüz binlerce kişi elektriksiz, on binlerce turist ise mahsur durumda.
“Yüzyılın Fırtınası” olarak tanımlanan Melissa, Jamaika’yı kategori 5, Küba’yı ise kategori 3 seviyesinde vurarak geçti.
Saatte 120 mil (yaklaşık 190 km/s) hızla esen rüzgarlar evleri, yolları ve altyapıyı yerle bir etti.
Jamaika Başbakanı Andrew Holness, ülkeyi “felaket bölgesi” ilan ederek vatandaşlardan su, gıda ve yakıt stoklarını dikkatle kullanmalarını istedi.
Jamaika’da 530 binden fazla kişi elektriksiz kalırken, 15 bin kişi acil barınaklara yerleştirildi.
Adada yaklaşık 25 bin turist, kapanan havaalanları ve sel altında kalan yollar nedeniyle mahsur kaldı.
İlk belirlemelere göre Jamaika, Haiti ve Dominik Cumhuriyeti genelinde yedi kişi hayatını kaybetti.
Ülkenin güneyindeki Clarendon ve St. Elizabeth bölgeleri tamamen sular altında kaldı. Dört hastane ağır hasar gördü, biri elektriksiz kaldığı için 75 hasta tahliye edildi.
Jamaika genelinde binlerce ağaç devrildi, enerji hatları koptu ve yollar ulaşıma kapandı.
Melissa, çarşamba sabahı itibarıyla Küba’nın doğusuna ulaştı. Granma, Santiago de Cuba, Guantanamo, Holguin ve Las Tunas eyaletlerinde acil durum ilan edildi.
ABD Ulusal Kasırga Merkezi, kasırganın Bahamalar’a doğru ilerleyeceğini ve yoğun yağışların ölümcül heyelan ve sel riskini artıracağını bildirdi.
Jamaika hükümeti, acil yardım malzemelerinin dağıtımı için havaalanlarını perşembe günü yeniden açmayı hedefliyor.
Ulusal Kasırga Merkezi (NHC), Melissa'nın Küba'ya yıkıcı bir şekilde ulaşmasıyla birlikte Granma, Santiago de Cuba, Guantanamo, Holguin ve Las Tunas eyaletlerinin alarm durumuna geçmesi üzerine, insanlara “derhal güvenli bir sığınak bulmaları” konusunda uyarıda bulundu.